Chau fertilizantes: el abono casero que revive las hojas amarillas de las plantas del jardín
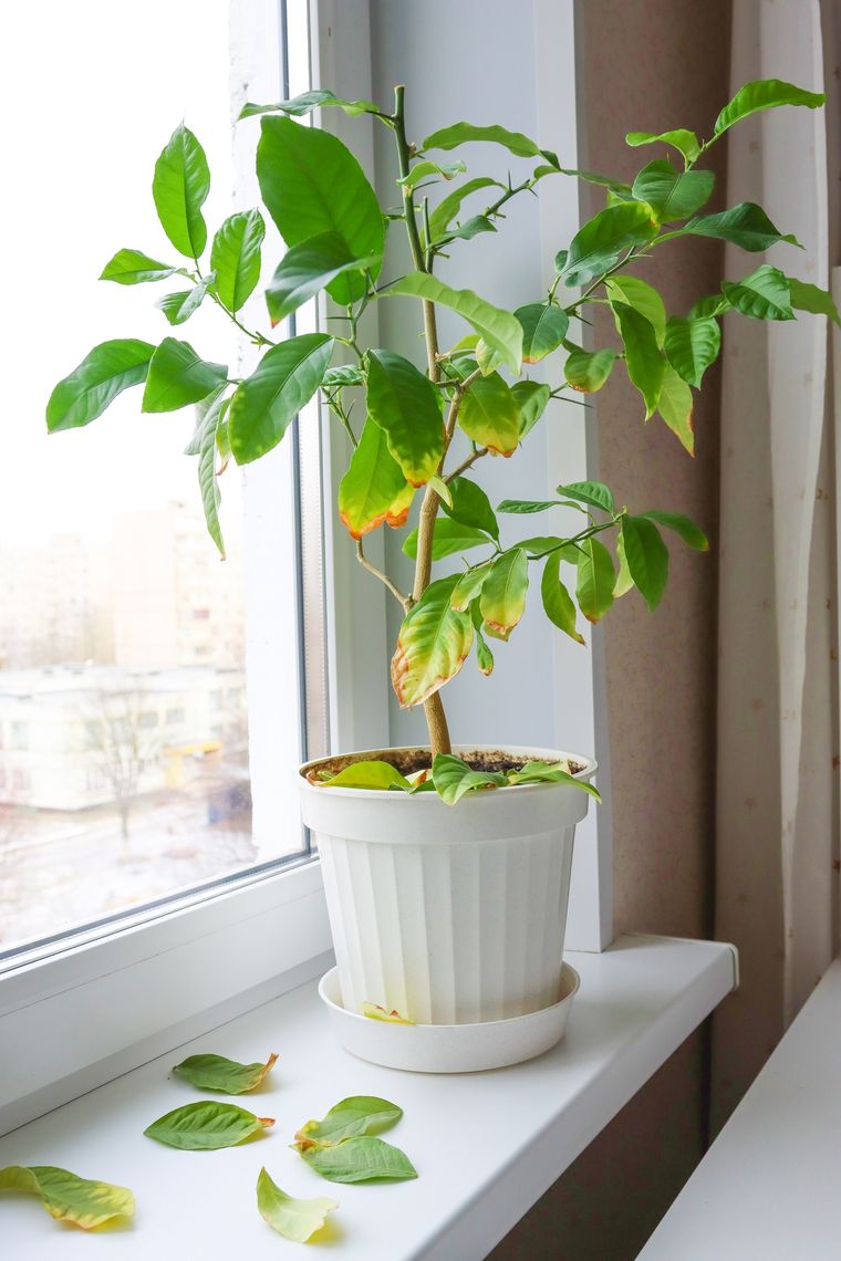
Recuperar plantas con hojas amarillas no tiene por qué depender de fertilizantes costosos ni productos químicos. Existe un remedio sencillo, casero y efectivo que no solo revitaliza el follaje, sino que también mejora la calidad del suelo. Este abono, elaborado con ingredientes accesibles, es ideal para devolverles la vitalidad a tus plantas en cuestión de días.
Te puede interesar
La planta trepadora que florece con fuerza durante el invierno
El procedimiento comienza mezclando 200 mililitros de agua con dos tapas de vinagre. Este ingrediente actúa como un desinfectante natural que ayuda a eliminar impurezas en el suelo, al mismo tiempo que previene su compactación, facilitando así la absorción de nutrientes. Este primer paso asegura una base saludable para que las raíces puedan desarrollarse de forma adecuada.
-
Te puede interesar
Por qué a esta llamativa planta de jardín la apodan "suegra y nuera"
Mira como se prepara este abono casero
Luego, se incorporan dos cucharadas de azúcar al agua con vinagre. Este componente es clave, ya que aporta nutrientes esenciales que fortalecen las hojas y ayudan a prevenir el amarilleo. Además, el azúcar potencia la actividad biológica en el suelo, promoviendo un entorno favorable para el crecimiento de las plantas.
Una vez que la mezcla está lista, se vierte en un atomizador. El abono debe aplicarse directamente en las raíces y también sobre las hojas, asegurando una cobertura completa. Para obtener resultados óptimos, se recomienda realizar este procedimiento cada dos días durante un periodo de aproximadamente 20 días.
Los cambios comienzan a ser visibles en poco tiempo. Las hojas recuperan su color verde intenso, se ven más fuertes y saludables, e incluso pueden aparecer nuevas flores en las plantas tratadas. Este método no solo es eficaz, sino también una alternativa sustentable y económica que cualquier persona puede implementar en casa.
Optar por soluciones naturales como esta no solo beneficia a las plantas, sino que también reduce el impacto ambiental, evitando el uso de productos químicos. Así, este abono casero demuestra que con ingredientes simples y un poco de dedicación, es posible transformar cualquier jardín en un espacio lleno de vida y color.

