Minuto a minuto: el Huracán Idalia deja a su paso inundaciones e incendios
14.40 | Inundaciones repentinas
El núcleo de Idalia se mueve a través del sureste de Georgia y alcanza Jacksonville. Es probable que se produzcan inundaciones repentinas y de ríos en Georgia y las Carolinas del este hasta el jueves.
Te Podría Interesar
14.00 | La advertencia del Centro de Huracanes
Meteorólogos del Centro de Huracanes lanzaron una profunda advertencia. Explicaron que aunque el huracán Idalia "se ha degradado a categoría 1" todavía puede "tumbar árboles, afectar propiedades y hacer daño a las personas que están en las calles". En muchas zonas se registran incendios y apagones.
13.10 | El presidente López Obrador ofreció su ayuda
Andrés Manuel López Obrador, presidente de México, se expresó hoy sobre el huracán Idalia y ofreció su ayuda a los compatriotas estadounidenses afectados. El mandatario informó que coordinará a través de la Secretaría de Relaciones Exteriores y los consulados de su país en Estados Unidos todo lo necesario para asistir a las víctimas.
“Nuestra solidaridad a nuestros paisanos porque si es un huracán fuerte que está afectando Florida. Nosotros vamos a estar pendientes de la situación y vamos a ayudar en todo lo que podamos, no solo a nuestros paisanos, sino a todos los damnificados”, expresó.
13.06 | Idalia se debilita
El meteorólogo Luis Vargas anunció en su cuenta de Twitter que el huracán Idalia se debilita progresivamente por su contacto con tierra firme aunque, advirtió, "sigue siendo un peligroso huracán Cat1 con vientos máximos sostenidos de 150 km/h mientras cruza el sur de Georgia.
12.45 | En vivo: así muestran los medios el paso del huracán Idalia
12.30 | La gente escapa en inflables
En medio del desastre y el miedo los habitantes de Georgia recurren a cualquier recurso para huir de la catástrofe. A través de un video que se volvió viral se ve cómo dos personas huyen en un inflable de piscina mientras reman desesperados.
12.17 | Advertencia sobre Bermudas
El huracán llegaría a Bermudas entre hoy y mañana, luego de cruzar Florida y Georgia.

12.15 | Alerta de evacuación activada
Las autoridades mantienen el alerta de evacuación activada en toda la zona de la Florida afectada por el paso del huracán ante el temor de las inundaciones.
12.05 | El huracán golpea Valdosta
Pese a que se degradó a categoría 2, el huracán golpea ahora la ciudad de Valdosta, en el sur del estado de Georgia, alcanzando Dasher Lake Park y muchos otros pueblos y ciudades, con vientos que superan los 113 km por hora y causan innumerables daños.
11.06 | El huracán se dirige al sur de Georgia
El Centro Nacional de Huracanes (NHC) estadounidense informó que cerca del mediodía, se espera que el núcleo de la tormenta se dirija sur del estado de Georgia, donde azotará Valdosta. Mirá cómo la gente sigue el desarrollo aquí.
"Aunque Idalia se debilitará aún más ahora que el centro de la tormenta está tierra adentro, es probable que siga siendo un huracán mientras avanza por el sur de Georgia y cerca de la costa de Georgia o el sur de Carolina del Sur a última hora de hoy", publicó el NHC.

Así se vive el paso del huracán
El registro del huracán en primera persona
10.30 | Marejada ciclónica catastrófica
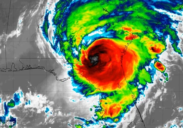
Los vientos máximos sostenidos se estimaron en 125 mph (205 kilómetros por hora). Continúan marejadas ciclónicas catastróficas y vientos dañinos. La marejada ciclónica es un tipo de inundación costera asociada con un sistema atmosférico de baja presión. Tras el paso del huracán por México y Cuba, el NHC informó que el ojo de Idalia se mueve hacia el interior de la costa de Big Bend. "Los niveles de agua a lo largo de la costa de Florida Big Bend están aumentando rápidamente", advirtió el NHC y reportó que "un mareógrafo del servicio oceánico nacional de la NOAA en Cedar Key, Florida, informó recientemente un nivel de agua de 5,9 pies (casi 2 metros) por encima del agua media más alta, lo que es una aproximación de inundación en esa área"

8.45 | El huracán Idalia alcanzó su nivel 3
El huracán Idalia alcanzó su nivel 3 y tocó tierra esta mañana en el noroeste de la costa de Florida, en Estados Unidos, donde se registraban vientos máximos sostenidos en 205 kilómetros por hora y "marejadas ciclónicas catastróficas" que provocaron subidas del agua de dos metros, mientras se espera que el nivel más alto se alcance a la tarde, informó el Centro Nacional de Huracanes (NHC) estadounidense.
El fenómeno se registró a las 7.45 local en el área llamada Big Bend, una vasta región pantanosa que, a diferencia de la mayoría de las otras zonas costeras alrededor de Florida, no tiene islas que actúen como barrera.



