Adiós a las hojas amarillas: este abono promete aportar el hierro que tus plantas necesitan
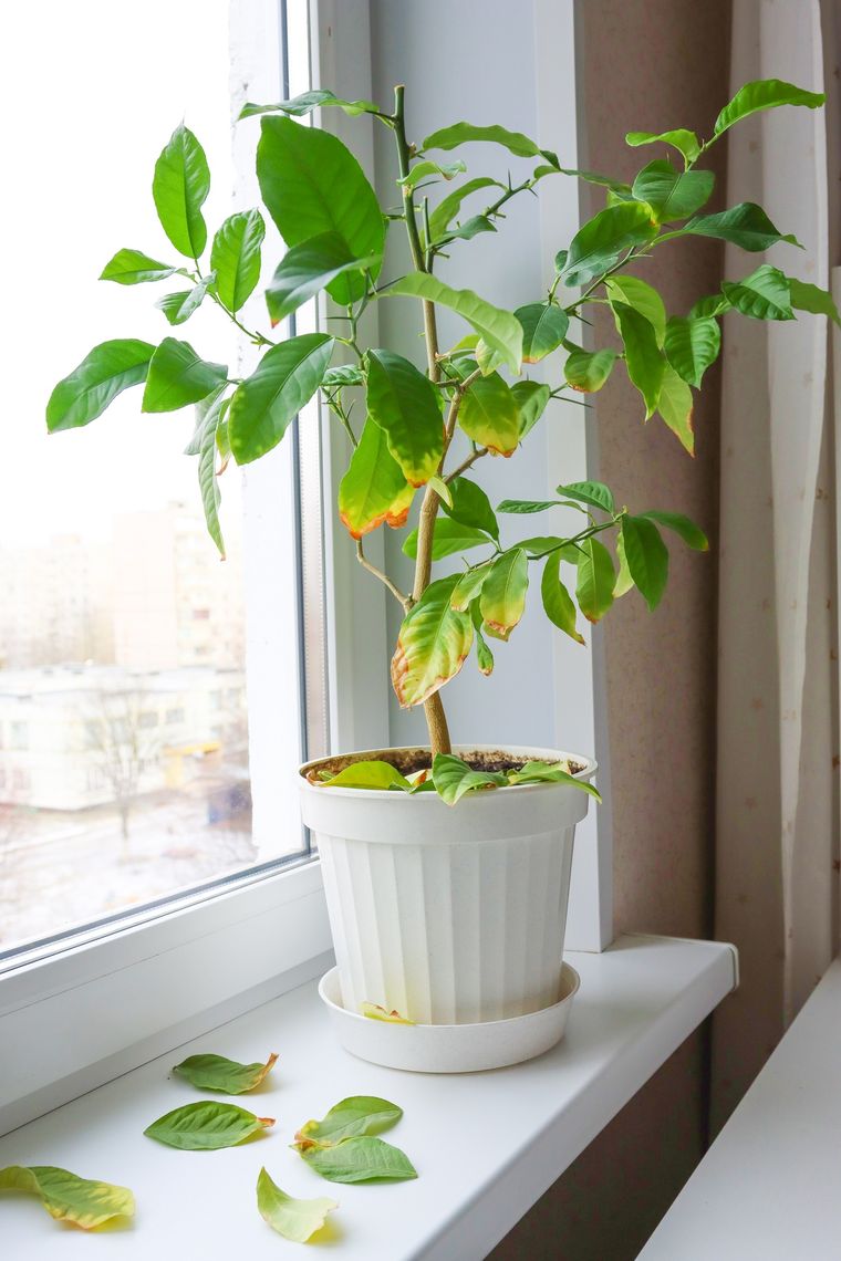
Para darte cuenta que es hora de preparar un abono casero para tus plantas, basta con ver las hojas. Si estas lucen amarillas o marrones, probablemente sea porque le faltan algunos nutrientes. En este punto, es importante que actúes con rapidez para evitar que se marchiten y mueran.
Te puede interesar
Cómo atraer pájaros al jardín con tres trucos simples
La causa más común de esto es la falta de hierro. Este nutriente es fundamental en el proceso de fotosíntesis de las plantas del jardín. Además, el hierro ayuda en la fijación del nitrógeno y en la respiración celular. Preparar un abono que pueda suplir este problema es relativamente fácil y a continuación, te enseñamos cómo hacerlo.
Sólo necesitarás clavos oxidados, estos se pueden conseguir fácilmente ya que en muchas casas los desechan por que tienen poco uso. En medio litro de agua debes poner entre 8 y 10 clavos durante 5 días para que el agua absorba el hierro necesario. Una vez pasado estos días, cuando el agua luce marrón, debes regar la planta con este abono.
-
Te puede interesar
Por qué cuidar las plantas puede mejorar tu relación con el dinero
En este proceso, los clavos liberan iones de hierro al agua, nutriente esencial para la tierra en el jardín. Además, regando las plantas con este abono casero haces que las plantas absorban este nutriente a través de las raíces y así, pueden utilizarlo para sus procesos metabólicos.
En caso de que tus plantas presenten síntomas de clorosis férrica, es decir, hojas amarillentas con venas verdes, no dudes en preparar este abono casero que puede ser la solución para rescatar a las plantas de una muerte segura. Sin gastar dinero tienes una solución efectiva.

