Así se ve por dentro el temible huracán Melissa, uno de los más brutales de la historia
Una misión de la Fuerza Aérea de EE.UU. ingresó al ojo del huracán Melissa y registró imágenes impresionantes. El fenómeno ya provocó siete víctimas fatales en el Caribe.
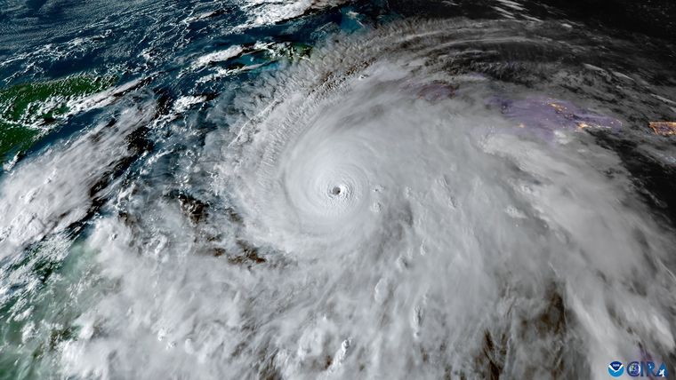
El huracán Melissa avanza hacia Jamaica con vientos "catastróficos".
EFEUna misión aérea de la Fuerza Aérea de Estados Unidos ingresó al ojo del huracán Melissa mientras el ciclón se desplazaba con categoría 5 hacia Jamaica. El operativo fue llevado a cabo por el 53rd Weather Reconnaissance Squadron, unidad especializada en monitoreo meteorológico, que documentó imágenes desde el interior del fenómeno con el objetivo de obtener datos críticos sobre su evolución.
La tripulación, conocida como los “Cazadores de Huracanes”, realizó múltiples pasadas por el interior del sistema con vientos sostenidos de hasta 280km/h. Las imágenes, difundidas por el Departamento de Defensa de Estados Unidos, muestran el conocido “efecto estadio”, una formación visual característica del ojo de huracanes intensos, en la que los muros de nubes se elevan en espiral alrededor de un centro de calma.
El avión ingresó desde el sureste poco después del amanecer y atravesó capas densas de nubes grises iluminadas tenuemente desde el horizonte, según reportó el medio NDTV. La operación permitió recopilar información para refinar las proyecciones de trayectoria e intensidad elaboradas por el Centro Nacional de Huracanes (NHC), que mantiene a Melissa como un huracán de máxima categoría.
Mirá el impactante video del huracán Melissa por dentro
De acuerdo con The Independent, el vuelo se centró en registrar parámetros clave desde el centro de la tormenta, incluyendo presión atmosférica, temperatura, velocidad del viento y estructura interna. Estos datos son utilizados para mejorar los modelos predictivos del NHC y las agencias meteorológicas regionales.
Mientras se desarrollaban las tareas de reconocimiento aéreo, Jamaica activó el estado de emergencia ante la inminente llegada del ciclón. Según los últimos informes oficiales, el huracán Melissa tocará tierra en las próximas horas con condiciones calificadas como “catastróficas”, incluyendo lluvias torrenciales, vientos extremos y marejadas con alto poder destructivo.
Las autoridades locales habilitaron más de 880 refugios en todo el país para asistir a la población en riesgo. Además, se emitieron alertas para zonas costeras y áreas propensas a deslizamientos de tierra, a fin de reducir el impacto humano ante la fuerza del ciclón.
El huracán Melissa ya dejó un saldo de siete víctimas fatales en su paso por el Caribe. Tres de ellas se registraron en Haití, otras tres en República Dominicana y una más en Jamaica, según datos oficiales. Las condiciones meteorológicas adversas provocaron colapsos de estructuras, cortes de energía y desplazamientos forzados en varias localidades.
El NHC advirtió que el impacto directo sobre Jamaica podría generar daños estructurales totales en áreas expuestas, con un alto riesgo para la infraestructura, las redes eléctricas y las comunicaciones. Las marejadas generadas por el ciclón podrían elevar el nivel del mar y provocar inundaciones costeras graves.

