Alerta por inundaciones en Miami ante la inminente llegada del huracán Ian
El alcalde de Miami, Francis Suárez, indicó en una conferencia de prensa que aunque la ciudad y su vecina Miami Beach no están en el cono del huracán Ian “en este momento”, todos los condados del sur de la Florida, “están bajo Aviso de Vigilancia de Tormenta Tropical”.
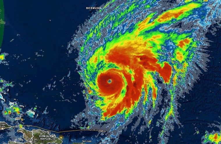
También hay Aviso de Vigilancia de Tornados hasta las 5 de la tarde del martes 27 por lo menos. La tormenta tocó tierra en el oeste de Cuba como categoría 3 y avanza hacia el noreste en el golfo de México, donde probablemente evolucione a categoría 4 antes que alcance la Florida el miércoles 28.
Además, emitieron una advertencia de inundaciones para los condados de Broward, Miami-Dade y Palm Beach. Las fuertes lluvias están creando áreas inundadas en las calles.
-
Te puede interesar
Italia: robaron un banco sin armas y, rodeados por la Policía, se esfumaron
La ciudad de Fort Lauderdale continúa monitoreando las condiciones climáticas y abordando el impacto de las inundaciones del huracán Ian en el área.
"Lamentablemente, parece que nada impedirá que se intensifique hasta una tormenta de categoría 4 antes de llegar a la Florida", dijo Francis Suárez, el alcalde de la ciudad de Miami, sobre el huracán Ian.
“Se espera que llegue a vientos de 140 millas (225 kilómetros) por hora antes de volver a tocar tierra, esta vez, lamentablemente, en la Florida en algún momento de mañana", precisó en conferencia de prensa.
Las lluvias son lo más preocupante, ya que el lunes 26 se registraron las primeras inundaciones. “Podríamos recibir una cantidad de entre 6 y 10 pulgadas (entre 150 y 250 milímetros) de lluvia en algunas zonas”, indicaron las autoridades.
En tanto Walt Disney World cerrará sus parques durante dos días cuando el huracán Ian se acerque a Florida. Disney's Animal Kingdom, Hollywood Studios, Epcot y Magic Kingdom cerrarán el miércoles 28 y el jueves 29, de acuerdo con las actualizaciones en tiempo real que Disney hace sobre la evolución del ciclón.


