Cómo revivir tu planta marchita al volver de las vacaciones
Después de unas merecidas vacaciones, volver a casa puede ser agridulce cuando descubrimos que nuestra querida planta ha perdido su vitalidad y se encuentra marchita. Sin embargo, no todo está perdido. Existen técnicas de jardinería específicas que pueden devolverle la vida a tu planta y convertirla en el punto focal de tu jardín nuevamente.
Te puede interesar
Cómo cultivar en agua tres plantas fáciles que perfuman tu casa
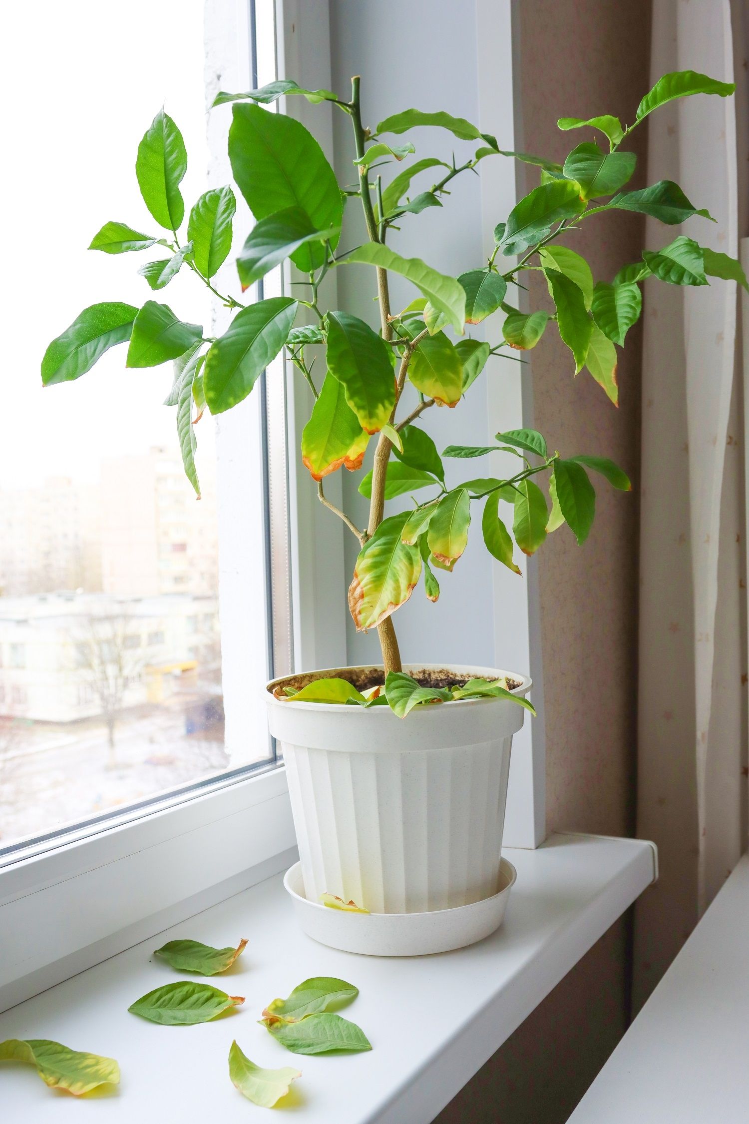
La falta de riego combinada con una exposición prolongada al sol puede ser la causa principal de la marchitez de tu planta. Para iniciar el proceso de recuperación, realizá una poda detallada, eliminando ramas, flores marchitas y hojas secas. Esta acción permitirá a la planta redirigir sus esfuerzos hacia las áreas más saludables.
Colocá la planta en una zona con sombra completa o parcial para protegerla de la radiación solar directa. Además, es crucial rehidratarla adecuadamente. No caigas en la trampa de encharcarla; en su lugar, retirá la capa superior de tierra apelmazada que podría estar impidiendo la absorción de agua. Sumergí el cepellón de la planta en agua templada durante 10 minutos y escurrilo antes de devolverla a su lugar.
-
Te puede interesar
La planta trepadora "3 en 1" que decora, da sombra y se come
Los expertos en jardinería sugieren trasplantar la planta a una maceta más grande con un sustrato fresco. Este paso estimula el crecimiento de las raíces, proporcionando los nutrientes necesarios para revitalizarla y lograr flores vibrantes y coloridas.
Por último, no olvidés hidratar las hojas de tu planta marchita, especialmente si el ambiente es seco. Un spray casero puede ser tu aliado, asegurándote de que cada gota caiga sobre el ejemplar a recuperar. Con paciencia y dedicación, podrás presenciar la resurrección botánica de tu planta, transformando tu jardín en un oasis de vitalidad y color.

