Elecciones en EE.UU.
Huracán categoría 4
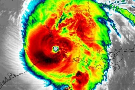
Huracán Laura: la tormenta de categoría 4 toca tierra en Estados Unidos con "marejada catastrófica, vientos extremos e inundaciones"
El huracán Laura llegó a la costa sureste de Estados Unidos este jueves de madrugada con categoría 4 en la escala de Saffir-Simpson, entre advertencias de "marejada catastrófica, vientos extremos e inundaciones".