Presenta:
Últimas noticias
Últimas noticias Argentina
Últimas noticias Mendoza
Política
Economía
Sociedad
Policiales
Deportes
Mundo
Energía
Espectáculos y Cultura
Estilo y Tendencias
Estilo
Estilo Gastronomía
Vinos
Viajes
Sociales
Consumidores
MDZ Autos
Newsletter
Servicios
Clima
Horóscopo
Juegos
MDZ Radio
Licitaciones
Mediakit
Publicidad
Políticas de seguridad y privacidad
Términos y condiciones
Política
Economía
Sociedad
Policiales
Mundo
Deportes
Estilo
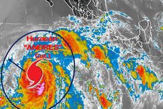
huracan andres
Más Noticias de huracan andres
Pacífico
«Andrés» se convierte en primer huracán de temporada en el Pacífico